00 Todd Quarter Road
$298,000
Property Information
| Price $298,000 | MLS # 20297129 | Lot Size Acres |
Listing Company: Carolina Land Company
Listing Agent: Scott Cornelson
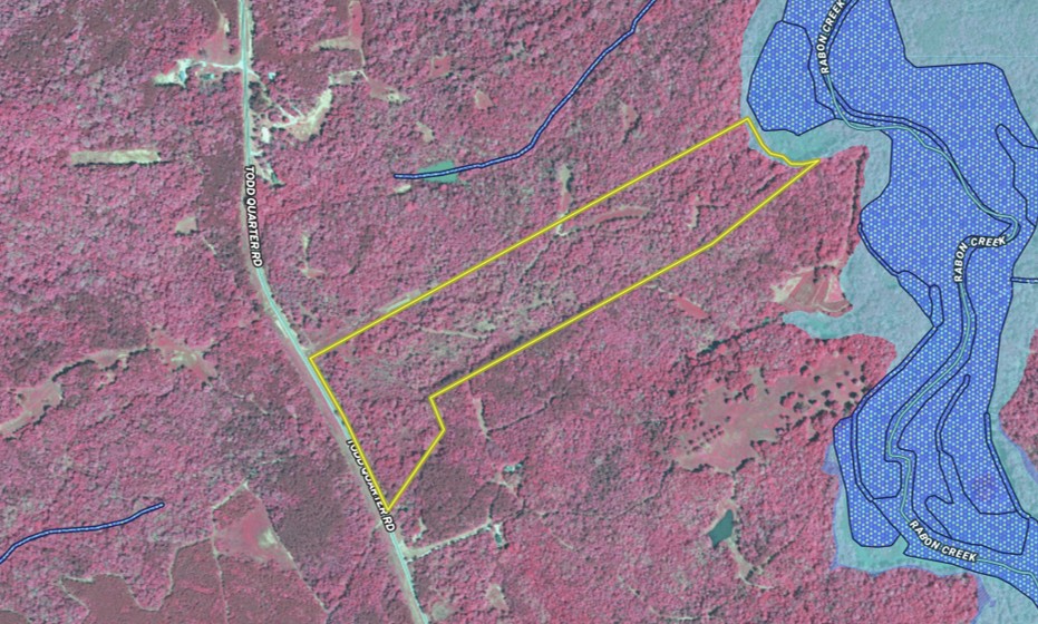
Situated just north of Lake Greenwood, this approximately 33.05-acre property is ideal for recreation or building a home with acreage. The land features mature hardwoods, some pines, and level to gently rolling terrain. An established internal road system covers most of the tract. There is an access easement on site to an old Cemetery that is located on an adjacent tract. Wildlife thrives here, thanks to two small food plots and a beaver pond in the Rabon Creek floodplain. With over 890 feet of frontage on Todd Quarter Road, buyers have several choices for entry points. There are no zoning restrictions, public water is available, and a septic system will be needed. A private soil classifier, approved by SCDHEC, must conduct any perc tests. If rollback taxes apply, these will be paid by the buyer. Laurens County tax map numbers are 241-00-00-010 and 241-00-00-004. Located near 1596 Todd Quarter Road in Waterloo, SC 29384, this attractive tract offers a range of options for those interested in rural living or recreational activities.

























